< 2026年 5月>

荒れのおかげでキレーな水!捗る撮影☆2026/05/01

:2026月05日01日 天気:晴れ
最高気温:25℃
最低気温:21℃
水温:25℃
スーツ:5mmワンピース+フードベスト又はドライスーツ

石垣島ファンダイビング&体験ダイビング&ライセンススクール日記スタートです

こんにちは〜!!ななです( ´ー`)/

引き続きの北風

ただ昨日と違うのは今日はとってもいい天気

晴れると水中の明るさが段違い

そして海が荒れたことで濁りが一掃

めちゃめちゃ水がキレーな1日となりました〜

水がキレーな時に行きたいポイント

圧巻のリュウキュウキッカサンゴ群落

見える範囲が広がるとより凄みがありますね!!

少し前にもいた赤色ベビー

まだいるかなぁ?!と探してみたらいた〜〜

ちょっぴり大きくなった??

世界最小のイカこと「ヒメイカ」

久しぶりに見たなぁ

砂に潜って顔だけ出して何をしているんだろう??

といつも見つけるたびに思ってしまいます(笑)

明日からまた風が南寄りに戻る予報

海が落ち着いて欲しいなぁ

ではまた!!

【予約受付中!!】サンゴの産卵ナイトダイブ2026

奇跡の瞬間を見に行こう!!この感動をわたしたちと共に

ツアーの詳細はこちらをチェック⇨umikyo.com/diary/2026/02/14/

 

♡うみの教室YOUTUBEチャンネル♡

2025年の海の様子を定期的にアップしています!!

こちらが最新動画です よかったら見てくださーい( ´ー`)ノ

なんで北風?!☆2026/04/30

:2026月05日01日 天気:曇り
最高気温:25℃
最低気温:21℃
水温:25℃
スーツ:5mmワンピース+フードベスト又はドライスーツ

石垣島ファンダイビング&体験ダイビング&ライセンススクール日記スタートです

こんにちは〜!!ななです( ´ー`)/

GWスタートです

始まったと思ったらまさかの北風・・・

連休が荒れてしまうのは悲しくもあるあるですね

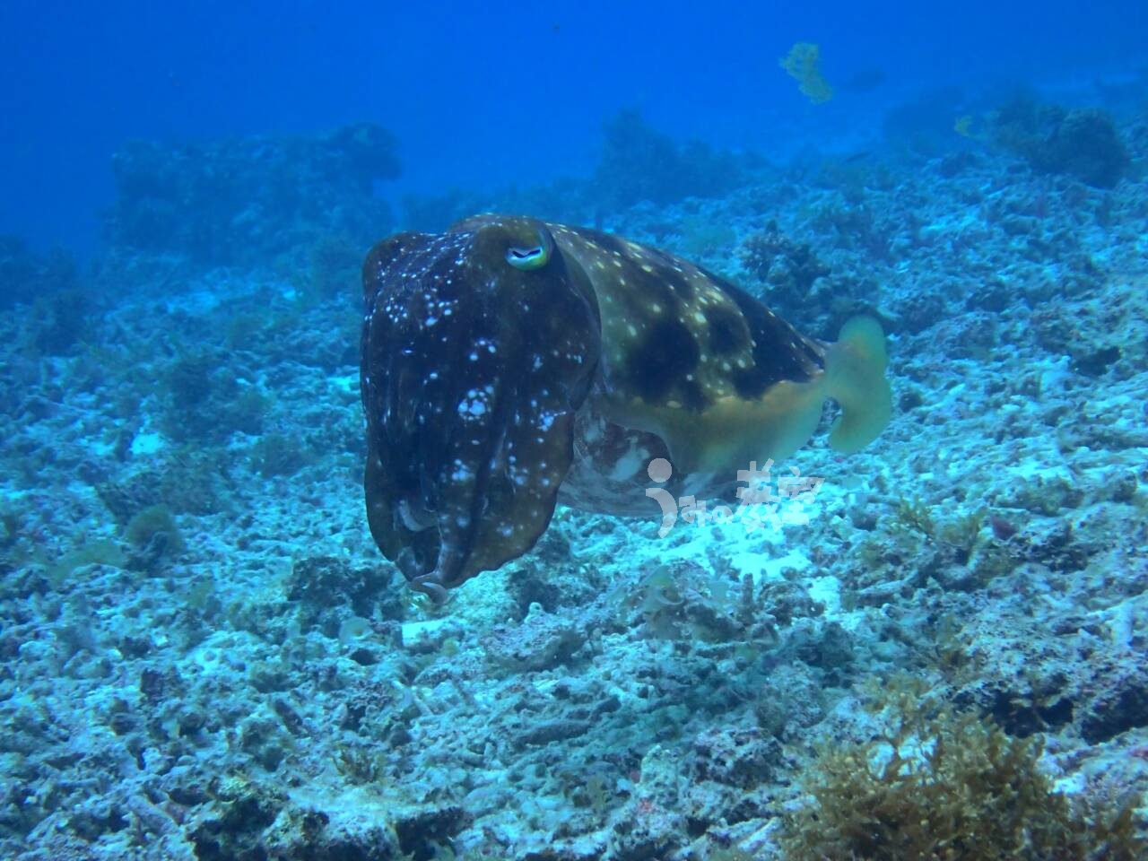
今日は穏やかなリーフの中でダイビング

 

久しぶりにいた〜〜

ここ数日探してもいなかったコブシメがひょこっと登場

何匹かがいて、喧嘩したりなどの貴重なシーンも見れましたね

荒れのおかげで濁りが一掃

すっきりキレーな水がお出迎え

透視度25mオーバーはあったかしら?!

もう完全に夏の様相

冬の寂しい感じから一転、既に爆発的な量

明日も引き続き北風な予報

ただ明日は太陽が出てくれるかしら??

雨と晴れでは心持ちが全然変わりますからね

晴れてくれ〜〜

ではまた!!

【予約受付中!!】サンゴの産卵ナイトダイブ2026

奇跡の瞬間を見に行こう!!この感動をわたしたちと共に

ツアーの詳細はこちらをチェック⇨umikyo.com/diary/2026/02/14/

 

♡うみの教室YOUTUBEチャンネル♡

2025年の海の様子を定期的にアップしています!!

こちらが最新動画です よかったら見てくださーい( ´ー`)ノ