< 2026年 3月>

石垣島北部もとうとう愛のドラマがスタートしました☆2026/03/19

:2026月03日19日 天気:晴れ時々雨
最高気温:26℃
最低気温:20℃
水温:23℃
スーツ:5mmワンピース+フードベスト又はドライスーツ

石垣島ファンダイビング&体験ダイビング&ライセンススクール日記スタートです

こんにちは〜!!ななです( ´ー`)/

本日もすこぶる良いお天気

南寄りの風で陸上はとっても暖かな感じ

気持ちも晴れやかにダイビングへGO

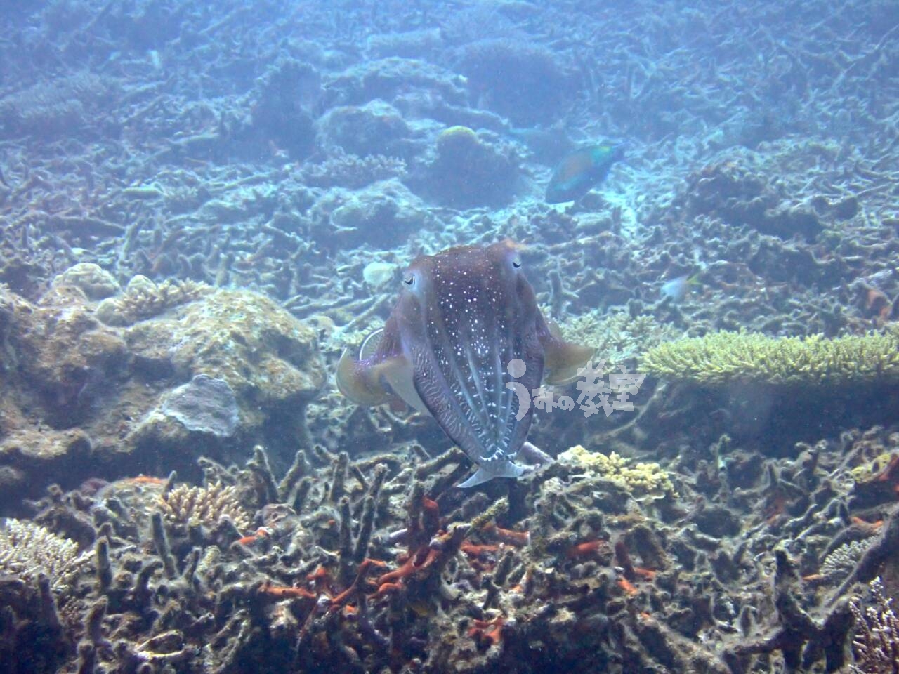
さて今日のテーマはこの時期が旬となってくる「コブシメ」

毎年スタートがまちまちなので今か今かとこの時期は探すのですが、本日ようやく発見

これは小さなメスかしら?!

こちらの大きなオスにはガッツリと威嚇されちゃいました・・・

ごめんてー🙏

あっ、何を発見かというとこの時期の「コブシメ=産卵」なので卵を発見したということです

最近コブシメの個体自体は発見していたんですけど卵が見つからなかったんですよね・・・

その時は1個体だけだったのでまだかなぁなんて思っていたのですが、今日は完全にペア

サンゴの隙間も卵でびっしりだったので北部でもとうとう産卵ドラマの幕開けです

みなさんどしどし見にきちゃってください

ではまた!!

 

【予約受付中!!】サンゴの産卵ナイトダイブ2026

奇跡の瞬間を見に行こう!!この感動をわたしたちと共に

ツアーの詳細はこちらをチェック⇨umikyo.com/diary/2026/02/14/

 

♡うみの教室YOUTUBEチャンネル♡

2025年の海の様子を定期的にアップしています!!

こちらが最新動画です よかったら見てくださーい( ´ー`)ノ