< 2025年 12月>

弱肉強食な世界を目の当たりに☆2025/12/09

:2025月12日09日 天気:晴れ時々雨
最高気温:25℃
最低気温:22℃
水温:23℃
スーツ:5mmワンピース+フードベスト又はドライスーツ

石垣島ファンダイビング&体験ダイビング&ライセンススクール日記スタートです

こんにちは〜!!ななです( ´ー`)/

さて今日は到着日ダイビングのゲストさまとダイビングしてきました〜

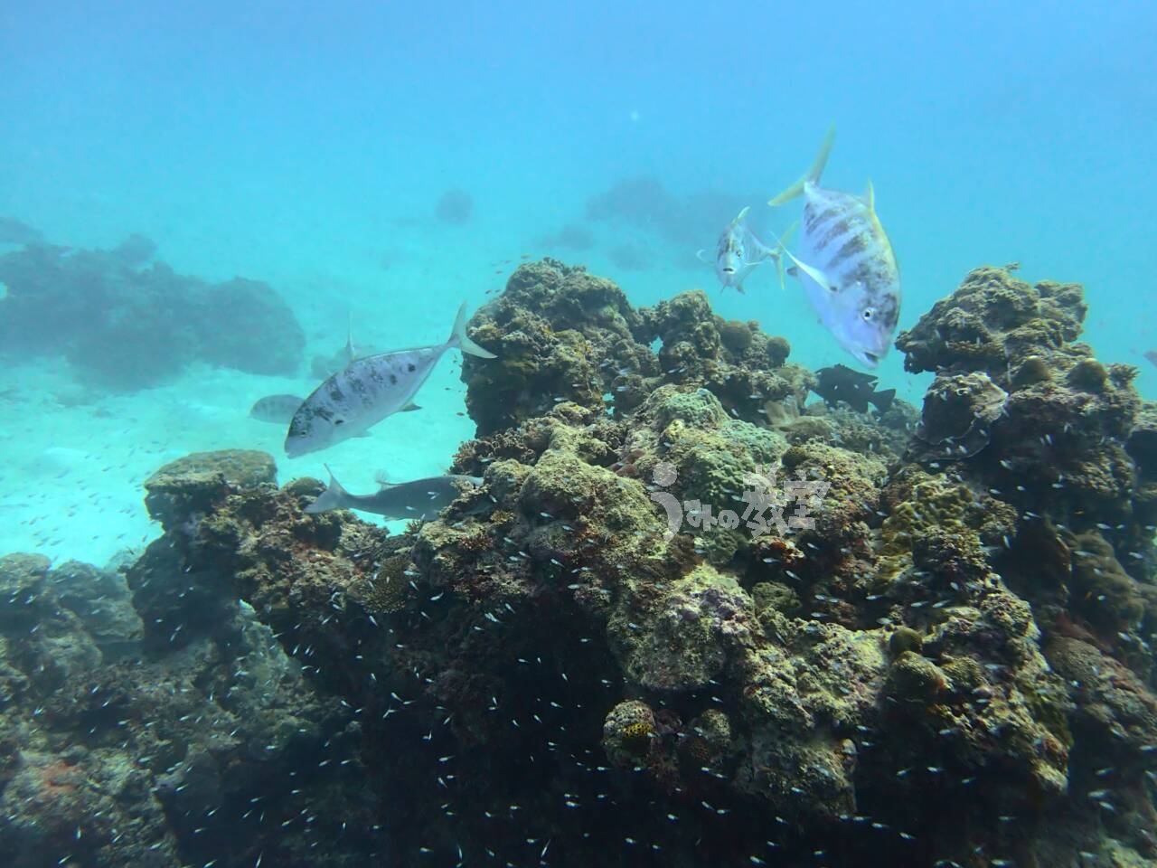
そんな中今日は「弱肉強食」がテーマとなりそうなシーンがありましたのでご紹介

冬になり夏に比べると数が減ってしまったテンジクダイたち

それでも今年はまだいっぱいいたのですが・・・

群れている場所に大きなホシカイワリ?!たちが群を成しているではありませんか

大きな魚たちが小さな群れに突っ込む突っ込む

なかなか迫力あるシーンに衝撃を受けましたね

どうやら今日を最後にこの場所はスッからかんとなってしまうのかな・・・

このサンゴに群れ群れの場所はぜひともバレないでもらいたいものですね(笑)

ではまた!!

 

♡うみの教室YOUTUBEチャンネル♡

2025年の海の様子を定期的にアップしています!!

こちらが最新動画です よかったら見てくださーい( ´ー`)ノ